REQUEST A TOUR If you would like to see this home without being there in person, select the "Virtual Tour" option and your agent will contact you to discuss available opportunities.
In-PersonVirtual Tour

$ 151,600
Est. payment /mo
Active
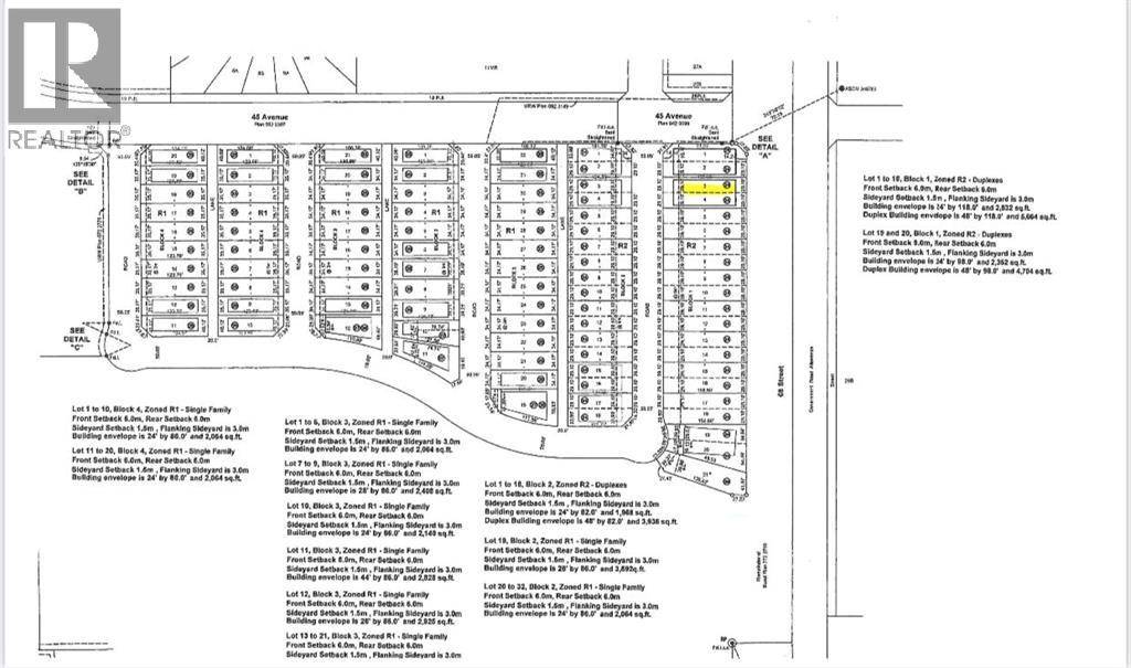
4720 68 Street Camrose, AB T4V2P7
4,740 Sqft Lot
UPDATED:
Key Details
Property Type Vacant Land
Sub Type Freehold
Listing Status Active
Purchase Type For Sale
Subdivision West Park
MLS® Listing ID A2016599
Lot Size 4,740 Sqft
Acres 4740.0
Property Sub-Type Freehold
Source Central Alberta REALTORS® Association
Property Description
Welcome to West Park's newest development....Lakeside!!! This development is situated close to shopping and dining. You can access the walking path along the lake and build your own home! Don't miss out on an amazing opportunity in 2025. (id:24570)
Location
Province AB
Rooms
Kitchen 0.0
Exterior
Parking Features No
Fence Not fenced
View Y/N No
Private Pool No
Others
Ownership Freehold

GET MORE INFORMATION
QUICK SEARCH





